Company Logo
SIGN UP LOGIN
Refine Search

Nw Englewood Road, Gladstone, MO 64118

$475,000
  • Nw Englewood Road, Gladstone, MO 64118 Main Photo

1 Total Photos [Click to View All]

Active
LOT SIZE 2.000 acres MLS#2062357
STATUSActive PROPERTY TYPELand - Commercial SCHOOLNorth Kansas City

Property Description

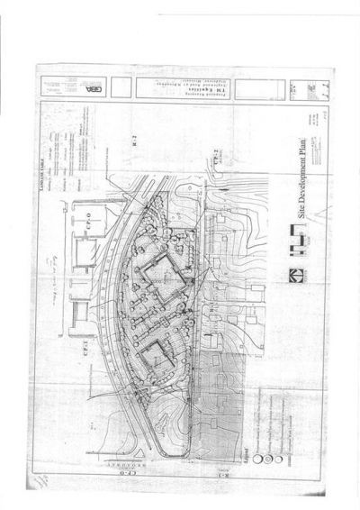
Great opportunity for a commercial business. This is located, right on Englewood Road with heavy traffic and exceptional visibility, easy access to this property. (Parcel #13909000202401)The business opportunities for this property are endless! Give us your best offer, seller is willing to negotiate!~This property already has the building site development/design plans ready for you to build your dream building if you like~ Listing agent is related to seller. (Parcel #13909000202401)

Nw Englewood Road | MLS# 2062357

This land located at Nw Englewood Road, Gladstone, MO 64118 is currently listed for sale with an asking price of $475,000. The property has approximately 2.00 Acres. Nw Englewood Road is located within the North Kansas City school district. Search Gladstone real estate on www.trophypa.com today.

Property Features

Property Type: Land - Commercial
Lot Size: 2.00 Acres

Feature Descriptions

Days on Site: 3172
Flood Plain: Unknown
Restrictions: Unknown
Road Responsibility: Other
Road Surface: Other
Sewer: Public Sewer
Soil Type: Unknown-Verify
Utilities: Electricity Available, Natural Gas Available
Water: City/Public - Verify

Local Schools

School District: North Kansas City

Listed By / Shown

Listed By

Agency Name: Keller Williams KC North
Agency Phone: 816-452-4200

Shown By

Agency Title: Trophy Properties & Auction
Agency Phone: (855) 573-5263

IDX logo

Estimate Your Payment

Estimated Payment

$ 1,195.69 per month $1,057.14 Principal & Interest $0.00 Property Tax (data not provided by mls) $138.54 Homeowner's Insurance

Change Payment Information

%
years/fixed
yearly
yearly (est.)
(Payments are an estimate and may vary by lender)

Login to My Homefinder

Pixel